高379米!鹿城广场超高层综合体建设方案终于公布!
扫描到手机,新闻随时看
扫一扫,用手机看文章
更加方便分享给朋友
近日,温州市自然资源和规划局官网公布鹿城广场三四期建设方案批前公示,包含商业综合体、379米超高层塔楼等。这也意味着鹿城广场超高层综合体终于要来了!
2021年12月29日,温州市资规局官网公布了鹿城广场项目的三、四期建筑方案批前公示。


▲图源:温州市自然资源和规划局
该项目位于鹿城区江滨路与车站大道交汇处,南侧即碧桂园·滨江壹号。地块分四期建设,共包含住宅、商业、办公及五星级酒店四种。目前,一、二期住宅(锦玉园)已分别于2011年和2012年交付。本次公布的三、四期商业建设工程位于住宅东南侧。



▲鹿城广场·锦玉园实景
鹿城广场三期、四期项目总建面约385884㎡,地上总面约230361㎡,三期主要为商业综合体,包含商业、影院、餐饮及娱乐等类型;四期主要为超高层塔楼式商办建筑,包含酒店、办公等类型。

A三期商业综合体
三期的商业综合体建筑总建面约129300.24㎡,其中,地上总建面约49135.51㎡,包含商业30784.71㎡,影院4000㎡,餐饮、娱乐8189.8㎡;地下总建面约79939.6㎡,其中商业22749.3㎡,餐饮、娱乐2934.7㎡,地下停车位约970个。
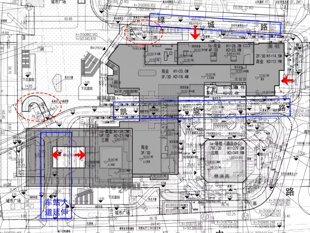
北侧的绿城路分隔开商业综合体与住宅,凯旋路从综合体中间自西向东穿过,并在综合体的西南侧与车站大道相连。地库出入口分别设置在绿城路与凯旋路,人行出入口沿绿城路、高田路以及车站大道设置,共四处。

▲三期项目总平图/其中蓝色区域为道路规划,红色区域为地库出入口,红色箭头为人行出入口。图注的位置、数量可能存在偏差,具体以实际为准



▲商业综合体效果图。/不代表最终方案,最终以落地实施为准
B超高层塔楼
四期的超高层塔楼,项目的建筑总建面约256583.6㎡,地上总建面约181000㎡,包含五星级酒店(约230间)41020㎡,产权式酒店(约108间)18745.27㎡,办公119972㎡以及配套用房约1261㎡;地下总建面约75583.6㎡,地下停车位约1370个。

▲效果图示意/非最终方案,以落地实施和较新规划为准
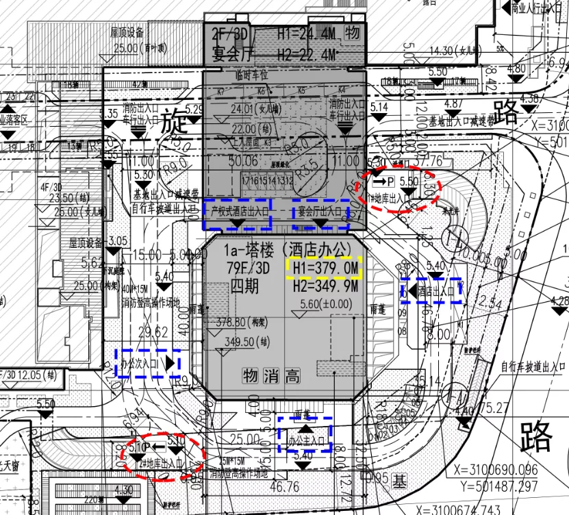
建筑整体由一幢2层的宴会厅以及一幢79层的商办塔楼组成,其中商办塔楼高达379米,目前为温州超高层项目的榜首。
南侧为超高层塔楼,北侧为宴会厅,凯旋路从下方穿过,地库出入口分别设置在东西两侧,为了实现客群分流,塔楼四周分别设置了宴会厅、五星级酒店、产权式酒店以及办公出入口。

值得一提的是,在四期总平图中,地下建筑中标注了“地铁预留用房”,也就是说地下或将预留地铁出入口,为M2线做准备。


▲温州“十四五”规划重大项目
声明:本文由入驻焦点开放平台的作者撰写,除焦点官方账号外,观点仅代表作者本人,不代表焦点立场。
