永嘉首宗“限地价、竞税收”地块挂牌出让!
扫描到手机,新闻随时看
扫一扫,用手机看文章
更加方便分享给朋友
近日,小编获悉,经永嘉县人民政府批准,永嘉县自然资源和规划局联合永嘉县公共资源交易中心以挂牌方式出让工202115地块的国有建设用地使用权。

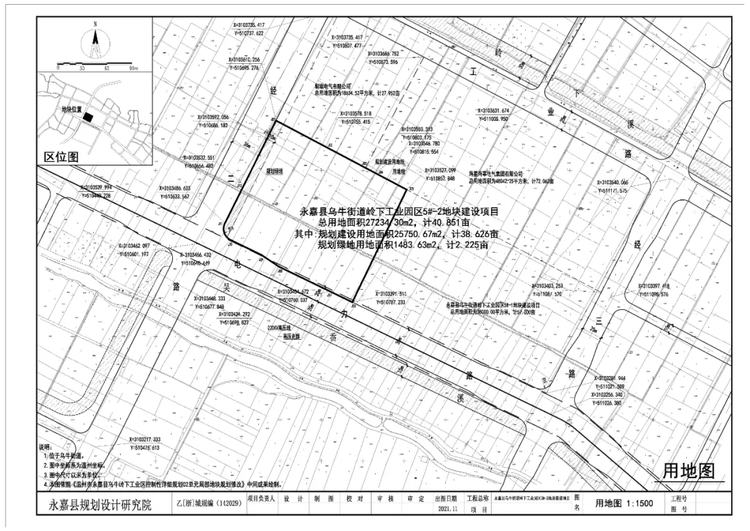
该地块位于乌牛街道岭下工业园区,总用地面积27234.3平方米(计40.851亩),其中规划建设用地面积25750.67平方米(计38.626亩),容积率≥1.3,建筑密度≤55%,绿地率≥8%,建筑高度≤80米,土地用途为工业用地。本次挂牌地块起始地价为1590万元,竞价增价幅度为人民币10万元或10万元的整数倍,以1900万元为上限价格。当地块报价未达到上限价格时实行自由竞价,当地块报价达到上限价格时转为在上限价格基础上竞报达产验收后连续5年的亩均年税收的程序,按竞报亩均年税收较高者确定竞得入选人。

工业用地“限地价、竞税收”出让是实施工业用地供应方式改革的重要性举措,改变了传统“价高者得”竞价方式,促使工业地块精准供应,同时倒逼企业实现蓬勃发展,对营造我县工业企业良好竞争、相互促进的营商环境,提升工业用地集约利用、亩均产出,推动经济高质量发展具有重要意义。

本次国有建设用地使用权挂牌出让通过浙江省土地使用权网上交易系统(https://td.zjgtjy.cn/view/trade/index)进行。申请人可通过浙江省自然资源厅进入浙江省土地使用权网上交易系统。


依托东蒙工业园和岭下工业园两大园区,乌牛容纳了500余家工业企业,其中,规上工业企业55家,高新技术企业22家、新三板挂牌企业2家、拟上市企业3家,形成了高端装备、船舶设备、电子电气、机械制造、科教仪器、安全封条、物流包装等多样化产业形态,与乐清、鹿城、龙湾、瓯北等周边经济体互为补充。当下,乌牛桩机轰鸣,塔吊林立,各大项目建设如火如荼。其中,省152项目江心、海星朝瑞智造园、路遥智造产业园等项目均已建成投产,省重大产业项目丰宝客(一期)、大亚电器智造、一洲5G智能家居、睿迪芯片等制造业项目已竣工将投产,省重大产业项目东蒙一体化项目正加速建设,凯泰阀门、纽顿流体、兆正电气、申乐新能源等5个单体制造业项目也即将落地开工。


乌牛与温州市区隔江相望,地处温台甬高速公路温州大桥北侧,104国道从南侧临境而行,温州绕城高速和乐清湾铁路从中北部穿境而过。自乌牛出发,5分钟可达七都岛城市后花园,10分钟可达温州杨府山滨江CBD、三江国际商务区,15分钟可达温州高铁北站,25分钟内可达永嘉县城、温州机场,30分钟可达温州动车南站、高级港口七里港等海陆空交通中心,形成了到市区和县城上塘半小时交通圈。随着七都北汊桥的全面通车,S325和北汊桥延伸线及互通的加速推进,乌牛将与周边一体相连,强力联动,区位交通优势日益凸显。


1999年被农业部授予“中国乌牛早茶之乡”称号,现有早茶园面积1.68万亩,年茶干产量达112吨,以乌牛早为代表的“四乌”农产品在全市拥有高知名度。乌牛又是人文之乡,辖内东蒙山又称乌牛纂,是永嘉的道教圣地,山水诗鼻祖谢灵运、明代旅行家徐霞客、北宋兵部侍郎胡则等古代名人均有留下足迹。当下,乌牛涌现出“琴棋书画”四大旗帜文化名人:琴有全国古代戏曲学会会长叶长海;棋有国家特级象棋大师蒋川;书有浙江书法家协会副主席、中国美术学院书法学博士教授戴家妙;画有我国著名的国画家和现代剪纸艺术家林曦明。


处在“中心功能集聚、都市魅力凸显、江城生态先进”城市发展主轴重要位置的乌牛,科学规划资源,整体协调推进,已经委托省建筑规划研究院完成了城市设计,启动城镇发展专项研究。现如今,已相继建成文化中心、文化广场、小镇客厅等新地标,成功打造洪岳美丽田园精品区块,创成东蒙社区3A景区村、大嶂和洪岳2A景区村和省3A级景区镇,祥池、仁浦(金合)、横联(大木山)正加速创建2A景区村,宜商宜业宜居宜游的美丽幸福街道已走出蓝图,逐步变成现实。
来源:中国永嘉微信公众号
声明:本文由入驻焦点开放平台的作者撰写,除焦点官方账号外,观点仅代表作者本人,不代表焦点立场。
